
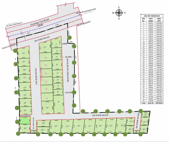
Project Overview
Surya Siri Enclave is a serene residential haven spanning 3 acres along Addevishwanathapura Road in Rajanukunte, thoughtfully designed to bring families closer to nature and everyday comfort. With 42 well‑planned units set in a peaceful, green environment, the enclave blends open spaces, safety, and playful areas for children, creating homes that feel bright, welcoming, and perfect for a harmonious life.

Highlights

Amenities
Black Top Roads in Gated Community
24/7 CCTV Surveillance
Underground Electricity
Underground Drainage
Landscaped Garden
Children’s Play Area
Car Parking
Salon & Spa
Master & Floor plans

Gallery








Location advantages
Contact Us